조황관리HOME / 조황관리 / 상세정보

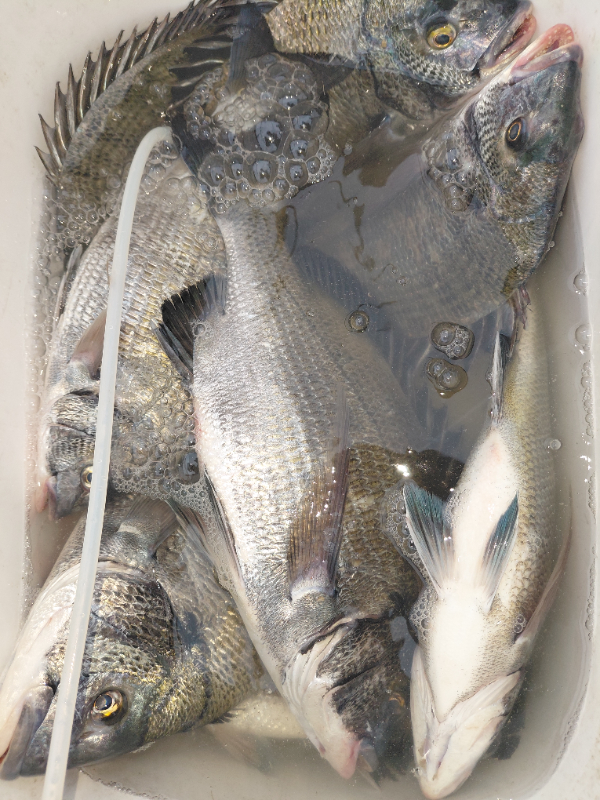
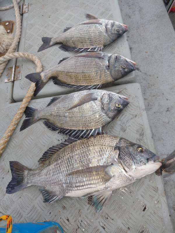
제목 : 2025.10.16 남당항 죽도 갯바위 낚시 조황 사진입니다 ^o^
등록일 : 2025-10-17
2025.10.16 남당항 죽도 갯바위 낚시 조황사진입니다~ 

사이즈 좋은 감성돔 많이 낚으셨네요!




KakaoTalk_20251016_113306089.jpg


KakaoTalk_20251016_113306089_01.jpg


KakaoTalk_20251016_113306089_04.jpg


KakaoTalk_20251016_113306089_05.jpg


===== 썬스타호 예약안내 =====

예약문의 : 010-5314-9379
오시는길 : 충청남도 홍성군 서부면 어사리 510-11
홈페이지 : http://oreum.sunsang24.com/
Top